“Es muy triste": tres personas murieron en Jamaica durante los preparativos para el paso del huracán Melissa

0
205

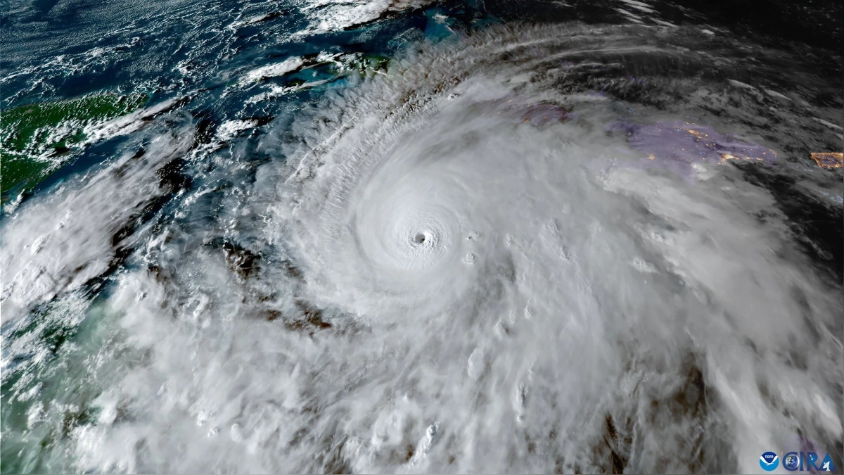
El Gobierno de Jamaica informó que al menos tres personas murieron y 13 resultaron heridas en los preparativos del huracán Melissa, de categoría 5, que azota el país durante la madrugada del martes y que ya provoca «dificultades» en el sur de la isla, donde hay 50 000 personas sin servicio eléctrico.»Es muy triste anunciar que… hemos tenido tres muertes relacionadas con los preparativos para la tormenta. Una en Hannover, otra en Saint Catherine y la otra en Saint Elizabeth», lamentó en una rueda de prensa el ministro jamaicano de Salud, Christopher Tufton.El titular de Salud precisó que estos fallecimientos fueron a causa de la tala de árboles como medida de precaución por la llegada de Melissa y apuntó que todos los hospitales están preparados para cualquier tipo de emergencia.»Nos preocupan algunos hospitales que se encuentran en la costa. Concretamente, Noel Homes en Hanover, Black River en Saint Elizabeth y el hospital Falmouth, debido al lugar donde están ubicados que es por donde está previsto que entre el huracán. Tenemos planes de evacuación para esas instituciones», detalló Tufton.En este contexto, el ministro explicó que en el hospital Black River acaba de finalizar un proyecto de un dique de 3,6 metros en la costa entre la institución hospitalaria y el mar, que proporcionará una barrera de protección.»Hemos trasladado algunos de los servicios fuera del hospital, más hacia el interior y hemos reubicado a los pacientes de la planta baja a la segunda planta», comentó Tufton. Melissa tendrá «impacto significante» en JamaicaEvan Thompson-Meadows, director de la oficina de meteorología de Jamaica (MET, por sus siglas en inglés), subrayó que «se espera un impacto significante» de Melissa en el país caribeño.»El centro del sistema, como huracán de gran intensidad, seguirá avanzando hacia la costa y para mañana por la mañana esperamos que toque tierra», recalcó Meadows. El meteorólogo indicó que, tras un análisis exhaustivo, está previsto que el ciclón toque tierra en el suroeste.»Las zonas más afectadas por las lluvias más intensas serán principalmente las del centro y el este. Estamos hablando de unos 750 milímetros de lluvia. Ni siquiera estoy seguro de que nuestros pluviómetros sean capaces de medir esa cantidad», indicó el director del MET.»Pero, por supuesto, haremos todo lo posible para proporcionar los mejores datos posibles después del evento», añadió Meadows.A su juicio, «las precipitaciones asociadas al sistema seguirían siendo tan intensas que podrían producirse inundaciones en cualquier zona del país. En el oeste, hemos experimentado bastantes de esas bandas y estas han estado produciendo lluvias en algunas zonas de la isla», agregó.Melissa se aproxima a la costa occidental de Jamaica con vientos sostenidos de 280 kilómetros por hora (175 millas por hora), lluvias torrenciales y marejadas que amenazan con provocar inundaciones y daños catastróficos. 

Te recomendamos

El Club de la Green Card

California cambia las reglas: salarios, alquiler y salud desde julio

Desde el 1 de julio, entran en vigor nuevas leyes en California que afectan tu bolsillo y tus derechos. Te contamos lo esencial para que no te sorprendan los cambios.